1. Home
  2. Search Listings
  3. Sw Martin Hwy Palm City, FL - 34990
  • MLS® #: RX-10986399
  • Sw Martin Hwy
  • Palm City, FL 34990
  • $10,500,000
  • 32.71 Acres
  • Land

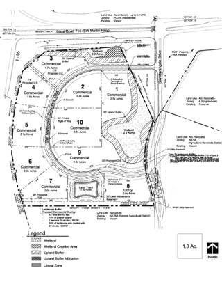
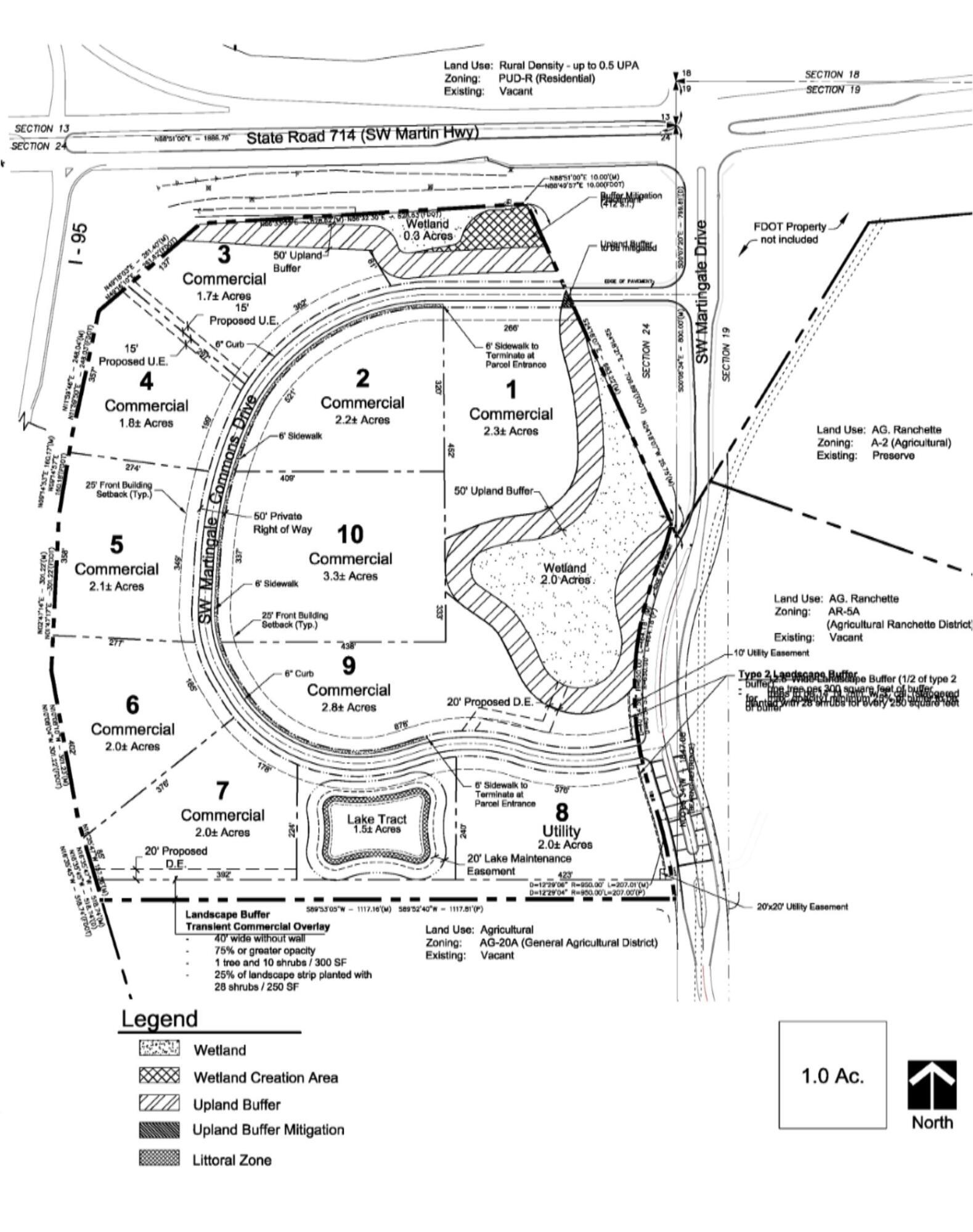
+/- 32.71 acre commercial development site has an excellent location along I-95 at Exit 110 in southeast Florida. The zoning allows a variety of commercial uses including gas station/conveniencestore, restaurant, hotel and other commercial/retail uses. Great location and one of the last remainingcommercial sites along the corridor on the Treasure Coast. Lots of new housing planned to the east, along with large industrial projects planned both east and west. Heavy commuter corridor along I-95 and into Palm City/Stuart. Martin Hwy is major connector to Indiantown and Okeechobee.

Essential Information

  • MLS® #RX-10986399
  • Price$10,500,000
  • Acres32.71
  • TypeLand
  • Sub-TypeCommercial Land
  • StyleNo
  • StatusActive

Community Information

  • AddressSw Martin Hwy
  • Area10 - Palm City West/Indiantown
  • Subdivisionn/a
  • CityPalm City
  • CountyMartin
  • StateFL
  • Zip Code34990

Amenities

  • UtilitiesNone

Exterior

  • Lot Description26 to 50 Acres

Additional Information

  • Date ListedMay 10th, 2024
  • Days on Website543
  • ZoningC-PUD
  • Office: Berk Realty

Property Location

Please provide a valid email address.

Sw Martin Hwy on www.jupiterabacoahomes.uswww.jupiterabacoahomes.us

Offered at the current list price of $10,500,000, this home for sale at Sw Martin Hwy features bedrooms and 0 bathrooms. This real estate listing is located in n/a of Palm City, FL 34990 . Sw Martin Hwy is listed under the MLS ID of RX-10986399 and has been available through www.jupiterabacoahomes.uswww.jupiterabacoahomes.us for the Palm City real estate market for 543 days.

Similar Listings to Sw Martin Hwy

Photo of Listing #RX-10986361
  • MLS® #: RX-10986361
  • Sw Martin Hwy
  • Palm City, FL 34990
  • $9,995,000
  • Land
Add as Favorite

All listings featuring the BMLS logo are provided by Beaches MLS Inc. Copyright 2025 Beaches MLS. This information is not verified for authenticity or accuracy and is not guaranteed.
© 2025 Beaches Multiple Listing Service, Inc. All rights reserved.

Listing information last updated on November 4th, 2025 at 9:46am CST.